671745 | Venta de fracción en Polo Indust... | BuscadorProp
🔍

¡Buscamos por vos! ¡Tu búsqueda a todas las inmobiliarias!

¡Quiero probarlo!

compartir Compartir:

  • facebook
  • whatsapp
  • envelope
  • link
Quitar la propiedad de favoritos Guardá tu propiedad favorita

Lote / Terreno en Venta en General Rodríguez

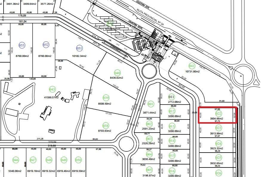
direccion Polo Industrial Gral. Rodriguez Lote 22, General Rodríguez
direccion Ver en mapa
Venta
USD 200.000
+ $ 10.000 expensas
casas Lotes / Terrenos
Zonificación INDUSTRIAL

Venta de fracción en Polo Industrial - Gral Rodriguez

Venta de excelente lote en el Polo Industrial de General Rodriguez.

Ubicado en Ruta Provincial 24 km 3,5 y calle Corrientes, prox. Ruta 5 (ex 7).

Lote 22 que se encuentra en la Etapa 1, a pocos metros de la entrada principal del parque.

Superficie total de 3904.66 m2.

Posibilidad de financiación de hasta un 50%.

Red vial interna H° A°. Energía eléctrica, Gas industrial media presión 1,5Kg (Caudal 50m3/Hora). Iluminación de calles tecnología LED. FOS 0,6. FOT 1,20. El parque está en pleno funcionamiento.

SERVICIOS del PARQUE:

• Helipuerto.
• Alojamiento.
• Restaurante.
• Sala de eventos y conferencias.
• Sala de primeros auxilios.
• Gimnasio.
•Centro de educación productiva.
•Seguridad.

Oyhanarte Propiedades.

* Las medidas publicadas son aproximadas

Ubicación Ubicación

direccion Polo Industrial Gral. Rodriguez Lote 22, General Rodríguez
  • codigo
    Código de la propiedad: POLO06
  • aviso
    Reportar aviso

¿Querés reportar algún problema con este aviso?

Seleccioná el motivo:

cerrar

Contactar a la inmobiliaria

Contactar a la inmobiliaria Cerrar modal

Oyhanarte Propiedades

Venta de fracción en Polo Industrial - Gral Rodriguez

Propiedad